Volkswagen Bora 2.0 2009 IHJ621
Ubicación: Avellaneda
Ficha
Deudas
Si
Funciona
Si
Dominio
IHJ621
Año
2009
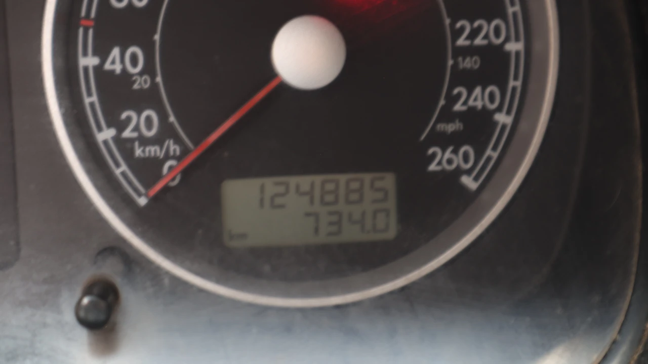
Km
124885
CEDULA |
Sin Cedula |
Radicación |
MAR DEL PLATA N° 13 |
Deudas |
Si |
DEUDA DE INFRACCIONES 13I |
BUENOS AIRES PROV. $1.927.200 + INFORMES CON NEGATIVA BS. AS PROV. $321.200 + GRAL. PUEYRREDON $42.775 |
DEUDA DE PATENTES MUNICIPIO |
413066,16 |
DEUDA DE PATENTE PROVICIA |
A INFORMAR |
Funciona |
Si |
Dominio |
IHJ621 |
Marca |
Volkswagen |
Modelo |
Bora 2.0 |
Tipo |
Sedan 4 Puertas |
Año |
2009 |
Km |
124885 |
Color |
Rojo |
Aspecto General |
Buen Estado |
LLaves |
1 |
Chapa Patente |
2 |
Alfombras |
Si |
Ruedas |
Si |
Radio |
Si |
Aire Acondicionado |
Si |
Bateria |
Si |
Gato |
No |
Auxilio |
No |
Faros |
Si |
Vidrios |
Si |
Parabrisa |
Si |
Carroceria |
Regular |
Paragolpe delantero |
Rayado |
Paragolpe trasero |
Detalles de Pintura y Cachado |
Capot |
Si |
Comentarios sobre el interior |
Butacas Gastadas |
Comentarios sobre el exterior |
Espejos Dañados / Detalles De Pintura |
Observaciones |
No Funciona Dirección Hidráulica / Motor Ruidoso |
Localización |
Av. Bartolomé Mitre 2160, B1873AMH Crucecita, Provincia de Buenos Aires, Argentina |
Ubicación |
Avellaneda |